展位预订:021-3114 8748
参观/媒体联系:13601815988
QQ:2463282767
邮箱:artsexpo@sgexpo.cn
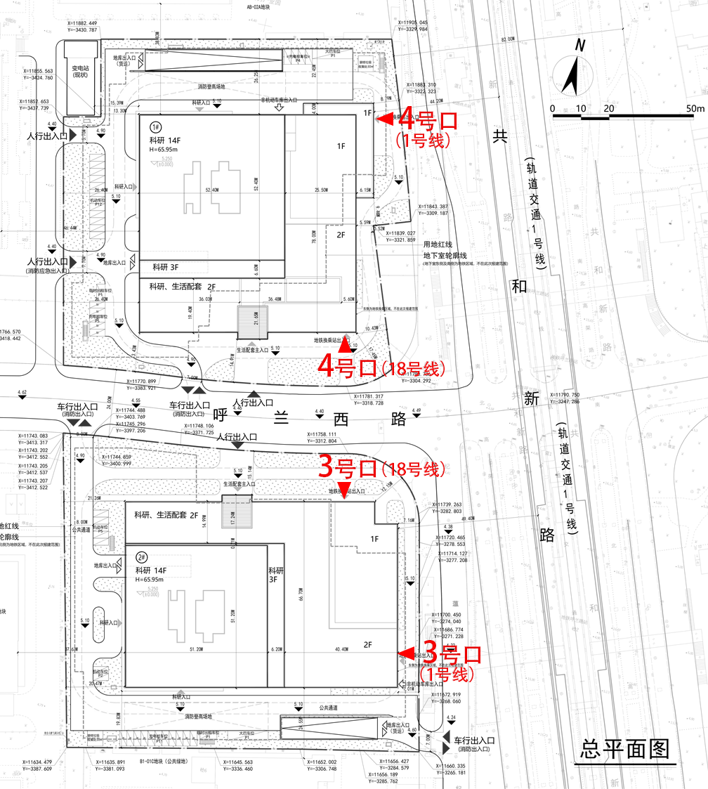
ARTS公海彩船官方网站 消息 18号线呼兰路站位于宝山区的呼兰西路下方东西向布置,位于共和新路、纪蕰路以西。本站为地下二层岛式车站。设置与1号线换乘的南北两个换乘通道。18号线本站共设计4个出入口。本次公示其中的18号线的3、4号口、1号线的3、4号口(新)。
18号线3号口沿呼兰西路北侧布置,纪蕰路以西,与智力广场南楼结合设置;
18号线4号口沿呼兰西路南侧布置,共和新路以西,与智力广场北楼结合设置;
1号线3号口沿纪蕰路西侧布置,与智力广场南楼结合设置;
1号线4号口沿共和新路西侧布置,与智力广场北楼结合设置;

作为18号线呼兰路站科研TOD——智力广场(暂名,又名智力广场“双子塔”,宝山区共康社区N120702单元AB-02B、B1-01A地块),项目分2个地块,位于共和新路西侧,呼兰西路南北两侧。项目为科研设计用途。
总用地面积约为27082.2平方米,总建筑面积约为102992.6平方米。其中:北区(AB-02B地块)地上14层,总建筑面积约为51822平方米,地上建筑面积的41722平方米,地下建筑面积约为10100平方米;南区(B1-01A地块)地上14层,总建筑面积约为51170.7平方米,地上建筑面积约为40310.7平方米,地下建筑面积约为10860平方米。

主要建设内容包括科研办公、商业配套用房、地铁换乘厅、换乘通道等。其中,地铁南、北换乘厅、18号线3、4号口、1号线3、4号口均在本项目建筑内结合建设。
据悉,智力广场计划今年开工建设,预计将于2026年交付使用。
扫码加入交流群